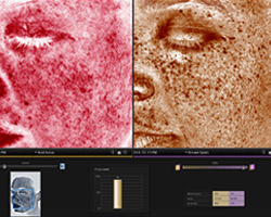
Visualiza la superficie de la piel en tres dimensiones.
El módulo de VISIA se rota en torno al sujeto inmóvil para capturar vistas faciales izquierda, derecha y frontal.
Imágenes faciales repetibles, que permiten registrar efectivamente el progreso y los resultados del tratamiento.
